• 视频:猫咪皮肤病真菌和细菌感染怎么区分?
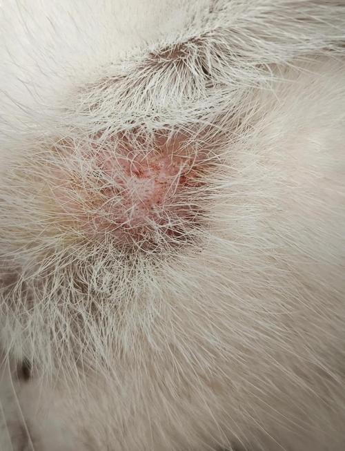
    真菌和细菌性皮肤病可以通过症状表现和专业的诊断进行区分。首先,真菌感染初期一般会表现为圆形或椭圆形的癣斑,界限明显,癣斑边缘的毛发粗糙脆弱,容易折断。细菌感染一般会出现圆形的小丘疹、红疹、脓疱等症状,严重时伤口还可能会渗液、流脓。其次,犬小孢子菌感染导致的真菌皮肤病通常在伍德氏灯的光照下会有绿色荧光反应,但容易误诊。最后,皮肤病常会出现混合真菌、细菌、螨虫等病原体感染,这时候通过肉眼一般很难区分,建议前往医院进行皮肤刮片检查。(图片来源网络,侵删)...
    Time:2025年09月05日 18:06:48  Read:51℃
  • 视频:猫咪皮肤病怎么治疗用什么药?
    的皮肤病类型有很多,包括真菌感染、细菌感染、螨虫病、过敏性皮炎、黑下巴等,不同皮肤病需要使用不同成分的皮肤药,否则只会白费功夫。例如,治疗猫癣一般首选盐酸特比萘芬或酮康唑成分的抗真菌药物;细菌性皮炎可以用碘伏消毒,再使用溶酶菌、恩诺沙星等外用药;猫耳螨需定期要体外,配合耳道液和复方制霉菌素软膏治疗;如果不确定是哪种皮肤病,最好先去医院进行皮肤刮片检查,避免用药不对症而耽误了治疗。(图片来源网络,侵删)...
    Time:2025年09月05日 17:58:41  Read:57℃
  • 视频:猫咪皮肤病可以用红霉素软膏吗?
    红霉素是一种广谱抗生素,可以用来治疗细菌感染引起的皮肤病,比如趾间炎、毛囊炎、轻度湿疹等。如果猫咪的皮肤病是由真菌感染、螨虫感染、过敏反应等原因引起的,用红霉素软膏一般没什么效果。因此,大家在发现猫咪感染皮肤病时,应第一时间带它去医院进行皮肤刮片检查,确定具体病因再进行针对性用药治疗。(图片来源网络,侵删)...
    Time:2025年09月05日 17:50:35  Read:56℃
  • 视频:猫咪皮肤病可以抹红霉素吗?
    有一部分的皮肤病是可以涂抹红霉素软膏的,红霉素是一种广谱性抗生素,可以用于缓解由细菌感染引起的脓疱疹、痤疮、小面积烫伤等皮肤炎症。然而,猫咪的皮肤病类型有很多,如果是真菌性感染、螨虫感染、皮肤过敏、内分泌失调等原因导致的病症,使用红霉素软膏可能无法达到有效的治疗效果。因此,大家在发现猫咪感染了皮肤病以后,最好先带它去医院做一个皮肤刮片的显微镜检查,确诊病因之后,再选择针对性的药物去治疗。(图片来源网络,侵删)...
    Time:2025年09月05日 17:42:27  Read:62℃
  • 视频:猫咪皮肤毛囊炎用什么药呢?
    得了毛囊炎可以用皮普特抑菌或氧化锌软膏进行涂抹。在给猫咪涂抹毛囊炎药物前最好提前用生理盐水清理掉患处周围的毛发,这样有助于药物的吸收,也会方便猫咪主人后续涂抹药膏。如果猫毛囊炎继发脓皮症或其他病菌,建议配合口服头孢羟氨苄片、速诺等抗生素全身消炎。另外,猫咪毛囊炎多发于未绝育的肥胖猫咪,可能由于激素原因引起,公猫的发病率比母猫的更高一些,因此,建议让未绝育的猫咪,尤其是公猫适龄进行绝育。(图片来源网络,侵删)  ...
    Time:2025年09月05日 17:34:20  Read:58℃
  • 视频:猫咪皮肤抓破了是不是得了皮肤病?
    的皮肤抓破了不一定是得了皮肤病,这种情况可能是由多种原因造成的,比如蚊虫或体外寄生虫叮咬、过敏、外伤结痂后导致的皮肤瘙痒、神经性、内分泌失调、缺乏某种维生素等。如果是皮肤病,通常会伴随掉毛、疙瘩、结痂、皮肤红肿等其他症状,要想进一步确定病因,应及时带猫咪去医院进行皮肤刮片检查。另外,为了避免猫咪抓挠皮肤,建议及时给它戴好伊丽莎白圈,以免导致损伤加重或继发细菌感染。(图片来源网络,侵删)...
    Time:2025年09月05日 17:26:10  Read:56℃
  • 视频:猫咪皮肤感染该用什么药呢?
    皮肤感染的原因有很多,例如皮肤病、寄生虫感染、外伤、过敏等,都可能导致皮肤损伤和感染。因此,在出现猫咪皮肤感染的情况时,建议及时前往医院检查,医生可以通过皮肤刮片检查、真菌培养、抽血化验等手段,确定具体病因后再确定该用的药物。在就医之前,建议先给猫咪佩戴伊丽莎白圈,避免它过度抓挠和舔舐皮肤感染的部位,如果无法就医,可以考虑先用碘伏进行消毒,再涂抹一些抗生素软膏,并配合口服消炎药观察一段时间。(图片来源网络,侵删)...
    Time:2025年09月05日 17:18:01  Read:50℃
  • 视频:猫咪皮肤出现黑色斑块怎么回事呢?
    的皮肤有黑色的斑块可能是正常生理代谢引起的黑色素沉淀,也可能是真菌感染引起的角质化或黑色素沉淀,当然,不排除药物长期刺激的作用,损伤了毛囊。如果猫咪同时出现掉毛、有皮屑等症状,建议主人最好带猫咪到医院进行检查,确诊后再进一步处理。如果是猫癣,则需要抗真菌口服药、喷剂、药浴香波等药物给猫咪治疗,同时,主人需要提高猫咪的自身抵抗力。(图片来源网络,侵删)...
    Time:2025年09月05日 17:09:54  Read:48℃
  • 视频:猫咪皮肤上有一块秃了是皮肤病吗?
    皮肤上有一块秃了并不一定是皮肤病的症状,这种情况还有可能是其他原因引起的,比如营养不良、内分泌失调、情绪问题导致的过度舔毛、注射药物后的反应等。出现这种情况时,建议先观察猫咪是否还有皮肤瘙痒、红肿、疙瘩、皮屑、结痂、发炎等其他症状。如果没有,可以先给猫咪佩戴伊丽莎白圈,避免它舔舐脱毛区域,然后在家观察一段时间。如果有异常症状,就及时带猫咪去医院进行皮肤刮片检查,确诊病因再给猫咪治疗。(图片来源网络,侵删)...
    Time:2025年09月05日 17:01:48  Read:51℃
排行榜
关于我们
民贸生活服务网为您整理的分类信息及实用建议,涵盖生活各方面需求:【房产资讯】二手房市场:近期政策利好,首付比例下调至15%,建议关注地铁沿线学区房租房指南:9月开学季租金普遍上涨5-10%,建议提前1个月锁定房源新房动态:智能家居成标配,精装房交付标准升级【美食探店】• 必吃榜单:秋季限定蟹黄汤包上市(推荐老字号王记)• 网红打卡:新开业的星空主题餐厅,人均150元需提前3天预约• 省钱攻略:每周三半价日活动覆盖30+连锁餐厅【社区活动】✓ 9月8日社区文化节(免费参与包粽子比赛)✓ 每周六上午跳蚤市场(二手家具5折起)✓ 中秋晚会节目招募(报名截止9月15日)【婚恋服务】❤ 实名认证相亲会:9月14日七夕专场(需提供学历/房产证明)❤ 线上匹配:推荐知心红娘小程序,AI算法匹配度达85%【智能生活】• 家电换新:以旧换新补贴最高2000元(限9月30日前)• 黑科技:可语音控制的智能窗帘套装(安装仅需2小时)【金融理财】💰 大额存单利率:3年期2.85%(较上月上涨0.1%)💰 黄金投资:金价回调至480元/克,适合分批建仓【旅游推荐】✈ 错峰游:9月三亚机票价格回落40%🚗 周边游:新开通的环湖绿道适合骑行(租车点:社区服务中心)【生活服务】• 家政保洁:开学季大扫除预约已排至9月20日• 维修服务:空调清洗特惠99元(需提前3天预约)【二手市场】📌 急转:9成新婴儿床(原价1800元,现价600元)📌 求购:求购二手钢琴(预算3000元内)实用建议:房产交易前务必查验五证原件相亲时建议选择公共场所首次见面旅游旺季建议购买取消险(可退80%费用)需要更详细的某类信息,欢迎随时告知!
扫码关注
Copyright ©2004-2025 Comsenz Inc.Powered
蜀ICP备2025157516号-4